Радиолокационная и оптическая спутниковая съемки продолжают обнаруживать утечки нефтепродукта из затонувших в декабре 2024 г. в Керченском предпроливье танкеров «Волгонефть-212» и «Волгонефть-239». На большой серии снимков Sentinel-1 и Sentinel-2, полученных в июне-июле 2025 г., прекрасно видно распространение шлейфов загрязнения в разные стороны от источников (сиреневые квадратики) под действием ветра и течений. Всего было проанализировано 37 радиолокационных изображений (РЛИ) и 14 оптических снимков.
Разливы нефтепродуктов в Керченском предпроливье всё еще продолжаются
Так, на РЛИ от 9.06.2025 (рис. 1) отобразилось нефтезагрязнение от носовой части танкера «Волгонефть-239» шириной до 100 м и длиной около 4 км; его дрейф при умеренном СВ ветре направлен в открытое море.

Рисунок 1

рис. 1а. разлив на оптическом снимке Sentinel-2, 6.06.2025
На РЛИ от 10.06.2025 (рис. 2) отобразилось нефтезагрязнение от носовой части танкера «Волгонефть-239» шириной 100-200 м и длиной более 12 км, сложный дрейф которого при слабом переменном ветре направлен к п-ову Крым.

Рисунок 2
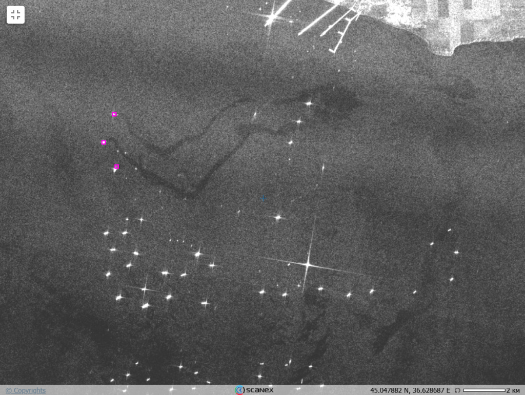
На РЛИ от 11.06.2025 (рис. 3) отобразилось нефтезагрязнение от носовой части танкера «Волгонефть-239» шириной до 200 м и длиной около 5 км, дрейф которого при умеренном СВ ветре направлен в открытое море.

Рисунок 3
На РЛИ от 17.06.2025 (рис. 4) отобразилось нефтезагрязнение от носовой части танкера «Волгонефть-239» шириной около 50-100 м и длиной около 5 км, дрейф которого при умеренном ЮЗ ветре направлен в Керченский пролив

Рисунок 4

рис. 4а. разливы на оптическом снимке Sentinel-2, 21.06.2025
На РЛИ от 21.06.2025 (рис. 5) отобразилось нефтезагрязнение от носовой части танкера «Волгонефть-239» шириной до 150 м и длиной более 5 км, дрейф которого при умеренном СВ ветре направлен к п-ову Крым.

На РЛИ от 22.06.2025 (рис.6) отобразилось нефтезагрязнение от носовой части танкера «Волгонефть-239» шириной около 100 м и длиной более 5 км, дрейф которого при умеренном СЗ ветре направлен в открытое море.

На РЛИ от 23.06.2025 (рис. 7) отобразилось нефтезагрязнение от кормовой части танкера «Волгонефть-212» и носовой части танкера «Волгонефть-239» шириной 150-250 м и длиной более 10 км, дрейф которого при умеренном ветре направлен к Таманскому полуострову и ППК “Тамань”.

Рисунок 7
На РЛИ от 27.06.2025 (рис. 8) отобразилось нефтезагрязнение от кормовой части танкера «Волгонефть-212» и носовой части танкера «Волгонефть-239» шириной 100-300 м и длиной более 15 км, которое при слабом северо-западном ветре испытывает сложный дрейф в Керченском предпроливье.

Рисунок 8
На РЛИ от 28.06.2025 (рис. 9) нефтезагрязнение от кормовой части танкера «Волгонефть-212» и носовой части танкера «Волгонефть-239» отобразилось шириной до 300-400 м и длиной более 7 км, итоговый дрейф которого при слабом СВ ветре направлен к Таманскому полуострову.

Рисунок 9
На РЛИ от 29.06.2025 (рис. 10) отобразилось нефтезагрязнение от кормовой части танкера «Волгонефть-212» и носовой части танкера «Волгонефть-239» шириной до 150 м и длиной более 7 км, дрейф которого при умеренном СЗ ветре направлен в открытое море.

Рисунок 10
На РЛИ от 3.07.2025 (рис. 11) отобразилось нефтезагрязнение от кормовой части танкера «Волгонефть-212» и носовой части танкера «Волгонефть-239» шириной около 150 м и длиной более 7 км, дрейф которого при слабом СВ ветре направлен в открытое море. Этот же разлив отобразился на оптическом снимке 5-ю часами позже (рис. 11а).

Рисунок 11

Рисунок 11а. разлив на оптическом снимке Sentinel-2 (виден цвет пленки), 3.07.2025
На РЛИ от 4.07.2025 (рис. 12) отобразилось нефтезагрязнение от кормовой части танкера «Волгонефть-212» и носовой части танкера «Волгонефть-239» шириной до 300-400 м и длиной более 15 км, дрейф которого при слабом СЗ ветре направлен в открытое море.

Рисунок 12
На РЛИ от 5.07.2025 (рис. 13) отобразилось нефтезагрязнение от кормовой части танкера «Волгонефть-212» и носовой части танкера «Волгонефть-239» шириной до 150 м и длиной около 3 км, дрейф которого при западном ветре в целом направлен к Таманскому полуострову.

Рисунок 13
На РЛИ от 9.07.2025 (рис. 14) отобразилось фрагментированное нефтезагрязнение от кормовой части танкера «Волгонефть-212» и носовой части танкера «Волгонефть-239» шириной от 100 до 350 м и общей длиной более 20 км, дрейф которого при СВ ветре направлен в открытое море вдоль п-ова Крым.

Рисунок 14

Рисунок 14а. разливы на оптическом снимке Sentinel-2, 6.07.2025
На РЛИ от 10.07.2025 (рис. 15) отобразилось нефтезагрязнение от кормовой части танкера «Волгонефть-212» и носовой части танкера «Волгонефть-239» шириной до 400 м и длиной более 10 км, дрейф которого при слабом СВ ветре направлен к п-ову Крым, а затем в Керченский пролив.

Рисунок 15

Рисунок 16

Рисунок 16а. разливы на оптическом снимке Sentinel-2, 11.07.2025
На оптическом снимке от 13.07.2025 (рис. 17) отобразилось нефтезагрязнение от кормовой части танкера «Волгонефть-212» и носовой части танкера «Волгонефть-239» шириной от 100 до 500 м и длиной 19-20 км, дрейф которого при ЮЗ ветре направлен к п-ову Тамань.

Рисунок 17. разливы на фрагменте оптического снимка Sentinel-2, 13.07.2025
На РЛИ от 15.07.2025 (рис. 18) отобразилось обширное фрагментированное нефтезагрязнение от кормовой и носовой части танкера «Волгонефть-212» и носовой части танкера «Волгонефть-239» шириной от 100 до 400 м и длиной около 17 км, дрейф которого при северном ветре направлен в открытое море к рейдовой стоянке.

Рисунок 18
На РЛИ от 16.07.2025 (рис. 19) отобразилось обширное фрагментированное нефтезагрязнение от кормовой и носовой части танкера «Волгонефть-212» и носовой части танкера «Волгонефть-239» шириной от 100 до 450 м и длиной более 25 км, дрейф которого при слабом северном ветре направлен в открытое море к рейдовой стоянке.

Рисунок 19
На РЛИ от 17.07.2025 (рис. 20) отобразилось нефтезагрязнение от кормовой части танкера «Волгонефть-212» и носовой части танкера «Волгонефть-239» шириной от 100 до 300 м и длиной около 12 км, которое при умеренном ЮЗ ветре направлено в открытое море к причалам ППК «Тамань».

Рисунок 20
На РЛИ от 22.07.2025 (рис. 21) отобразилось обширное нефтезагрязнение от кормовой части танкера «Волгонефть-212» и носовой части танкера «Волгонефть-239» шириной от 100 до 300 м и длиной около 15 км, которое при ЮЗ ветре от слабого до умеренного распространялось к п-ову Тамань. Его фрагменты затем распространялись в открытое море и достигли рейдовой стоянки.

Рисунок 21
Обратим внимание на образование вторичного загрязнения в прибрежной зоне Анапской агломерации и Бугазской косы. Оно образуется вследствие летнего прогрева водной толщи и периодических штормовых воздействий, в результате чего фракции нефтепродукта осевшего на дне, поднимаются на поверхность и образуют пленки на поверхности моря. Это также подтверждается ДЗЗ, в частности данными космической радиолокацией. Вторичное загрязнение в виде многочисленных пленочных сликов, часто квазиортогональных или параллельных берегу, видно на РЛИ от 17.05 и 12.06.2025 (рис. 22); их общая площадь может достигать 50 кв. км и более.

Рисунок 22
В итоге, анализ данных ДЗЗ показал, что линейные пятна-слики на радиолокационных изображениях и оптических снимках образованы пленками нефтепродукта, который перевозили затонувшие танкеры, ибо: 1) однозначно известен нефтепродукт, который они перевозили - это мазут марки M-100, 2) они исходят из одних и тех же точек (стационарных источников на дне), 3) имеют соответствующие размеры и линейную форму, характерную для подводных источников (выпусков канализации, затонувших судов, естественных нефтепроявлений и т.п.), и 4) на оптических снимках их сигнатуры имеют цвет, соответствующий разливам средних нефтепродуктов; он меняется по мере дрейфа и растекания. Наконец, нефтепродукты, попавшие в море в период апрель–июль 2025 г., несомненно, внесут свой вклад в общее загрязнение Керченского пролива и предпроливья нефтеуглеводородами.
Полезные ссылки:
1. Последствия техногенной экологической катастрофы в Черном море будут ощутимы на протяжении всего 2025 г. — экспертный анализ спутниковых снимков Новость СКАНЭКС 25 декабря 2024. https://www.scanex.ru/company/news/posledstviya-tekhnogennoy-ekologicheskoy-katastrofy-v-chernom-more-budut-oshchutimy-na-protyazhenii-
2. Радиолокационная съёмка показывает, что в Черном море продолжаются техногенные разливы мазута. Новость СКАНЭКС 13 января 2025. https://www.scanex.ru/company/news/rli-pokazyvayut-chto-v-chernom-more-prodolzhayutsya-tekhnogennye-razlivy-mazuta-/
3. Истечения из затонувших частей танкеров продолжаются. Новость СКАНЭКС 23 мая 2025. https://www.scanex.ru/company/news/istecheniya-iz-zatonuvshikh-chastey-tankerov-prodolzhayutsya
4. Утечка мазута из затонувших танкеров в Керченском проливе. Sky Eye. https://t.me/greensatru/159
* Новость подготовлена студентами МИИГАиК, проходящими практику в ГК «СКАНЭКС».
